조황관리HOME / 조황관리 / 상세정보

제목 : 2026년2월28일 어구가자미 조황!!
등록일 : 2026-02-28
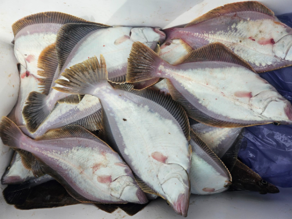
2026년 2월 28일  어구가자미 출조했습니다 
저희 공현진 피싱호는
올시즌 마지막 어구가자미 출조했습니다 
올시즌 폭팔적인 조황은 없었지만
마지막 잘 마무리 했습니다
시즌 마감
공현진 피싱호와
함께 해주신 조사님들 감사합니다
♡3월  대구라바 계속해서  출항합니다!!
♡4월 1일부터  대왕문어 시즌이 시작됩니다!!
♡3월2일부터 대왕문어  예약이 가능합니다!!

#조황정보

BandPhoto_2026_02_28_21_13_59_1.jpg


BandPhoto_2026_02_28_21_13_59_2.jpg


BandPhoto_2026_02_28_21_13_59_3.jpg


BandPhoto_2026_02_28_21_13_59_4.jpg


BandPhoto_2026_02_28_21_13_59_5.jpg


BandPhoto_2026_02_28_21_13_59_8.jpg


BandPhoto_2026_02_28_21_13_59_7.jpg


BandPhoto_2026_02_28_21_13_59_6.jpg


BandPhoto_2026_02_28_21_13_59_10.jpg


BandPhoto_2026_02_28_21_13_59_9.jpg


BandPhoto_2026_02_28_21_13_59_11.jpg





*** 고성 공현진 피싱호 예약 안내 ***


예약문의 : 010-8909-6679

선장직통 : 010-9480-1877

오시는길 : 강원도 고성군 죽왕면 공현진길 30

홈페이지 : https://gonghyeonjinfishing.sunsang24.com/


모바일.gif


Top