조황관리HOME / 조황관리 / 상세정보

제목 : 2026년2월4일 어구가자미 조황!!
등록일 : 2026-02-04
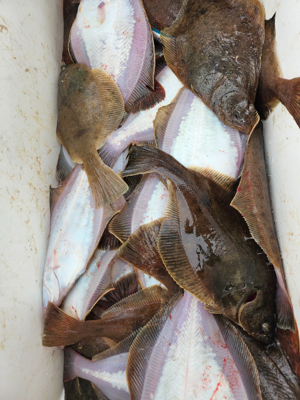
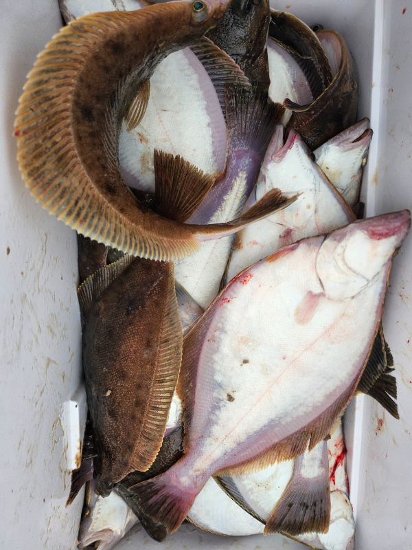
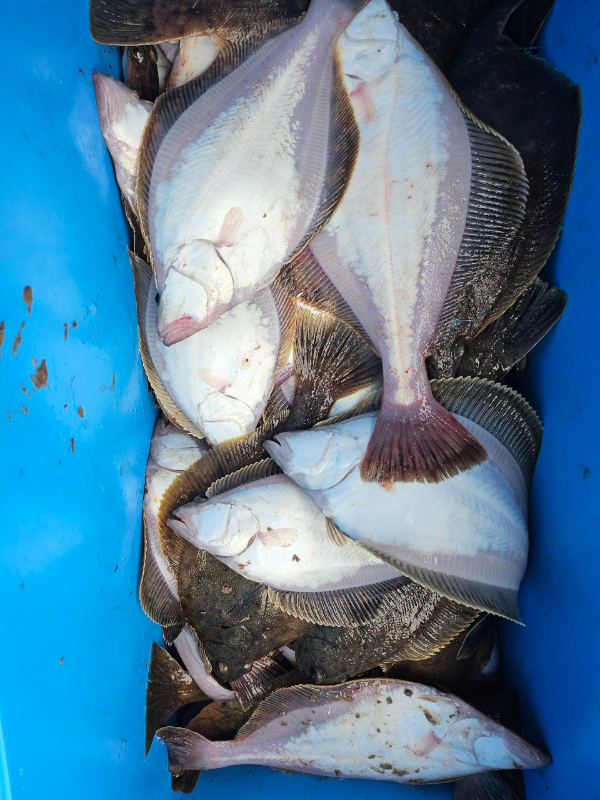
2026년 2월 4일 
어구가자미 출조했습니다 
오늘도 어군은 괜찮았습니다
그러나 어군에 비해 입질이 약하고
꾸준하게 이어지는 어군이 별로 없었습니다
여기저기 어군찾아 잡아낸
어구 가자미 한마리 한마리가
소중 하네요~
그래도 열심히 낚시해주신 조사님들
덕분에 힘든 상황속에서 선전했습니다 ~
공현진피싱호 찾아주신
조사님들 감사드리고 수고하셨습니다
#조황정보

BandPhoto_2026_02_04_20_52_28_1.jpg


BandPhoto_2026_02_04_20_52_28_2.jpg


BandPhoto_2026_02_04_20_52_28_3.jpg


BandPhoto_2026_02_04_20_52_28_4.jpg


BandPhoto_2026_02_04_20_52_28_7.jpg


BandPhoto_2026_02_04_20_52_28_8.jpg


BandPhoto_2026_02_04_20_52_28_5.jpg


BandPhoto_2026_02_04_20_52_28_6.jpg


BandPhoto_2026_02_04_20_52_28_10.jpg


BandPhoto_2026_02_04_20_52_28_11.jpg


BandPhoto_2026_02_04_20_52_28_9.jpg


BandPhoto_2026_02_04_20_52_28_14.jpg


BandPhoto_2026_02_04_20_52_28_12.jpg


BandPhoto_2026_02_04_20_52_28_16.jpg

 
BandPhoto_2026_02_04_20_52_28_15.jpeg
 



*** 고성 공현진 피싱호 예약 안내 ***


예약문의 : 010-8909-6679

선장직통 : 010-9480-1877

오시는길 : 강원도 고성군 죽왕면 공현진길 30

홈페이지 : https://gonghyeonjinfishing.sunsang24.com/


모바일.gif


Top