조황관리HOME / 조황관리 / 상세정보

제목 : 2025년12월30일 어구가자미 조황!!
등록일 : 2025-12-30
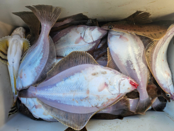
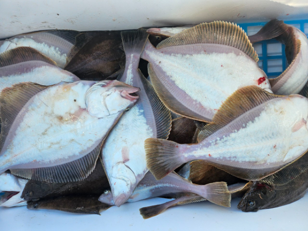
2025년 12월 30일 
어구가자미 출조했습니다 
오늘은 날씨가 춥고 파람에 파도까지
그래도 열심히 낚시해주신
조사님들 덕분에 즐거운 출조 했습니다 
오늘도 공현진 피싱호를
찾아주신 조사님들께
감사한 마음을 가지고 더욱더 열심히 하는
공현진 피싱호가 되겠습니다 !!

♡내일31일 풍량 주의보는 아니지만
    날씨 예보상 영하10도에 
    바람 파도가 높을것으로 예상됩니다 
    조사님들 안전이 최우선 이기에
    내일 하루는 출항취소 하였습니다
    조사님들 연말 잘보내시고요 
    새해복 많이 받으세요~~~^^
    공현진 피싱호는
    새해부터 더욱더 열심히
    바다를 누비고 다니겠습니다!!

#조황정보

BandPhoto_2025_12_30_21_41_08_1.jpg


BandPhoto_2025_12_30_21_41_08_2.jpg


BandPhoto_2025_12_30_21_41_08_6.jpg


BandPhoto_2025_12_30_21_41_08_4.jpg


BandPhoto_2025_12_30_21_41_08_5.jpg


BandPhoto_2025_12_30_21_41_08_7.jpg


BandPhoto_2025_12_30_21_41_08_3.jpg



BandPhoto_2025_12_30_21_41_08_22.jpg


BandPhoto_2025_12_30_21_41_08_21.jpg


BandPhoto_2025_12_30_21_41_08_19.jpg


BandPhoto_2025_12_30_21_41_08_20.jpg


BandPhoto_2025_12_30_21_41_08_17.jpg


BandPhoto_2025_12_30_21_41_08_18.jpg


BandPhoto_2025_12_30_21_41_08_16.jpg


BandPhoto_2025_12_30_21_41_08_14.jpg


BandPhoto_2025_12_30_21_41_08_15.jpg


BandPhoto_2025_12_30_21_41_08_13.jpg



BandPhoto_2025_12_30_21_41_08_11.jpg





BandPhoto_2025_12_30_21_41_08_8.jpg


BandPhoto_2025_12_30_21_41_08_10.jpg






 



*** 고성 공현진 피싱호 예약 안내 ***


예약문의 : 010-8909-6679

선장직통 : 010-9480-1877

오시는길 : 강원도 고성군 죽왕면 공현진길 30

홈페이지 : https://gonghyeonjinfishing.sunsang24.com/


모바일.gif


Top