조황관리HOME / 조황관리 / 상세정보

제목 : 2025년12월29일 어구가자미조황!!
등록일 : 2025-12-29
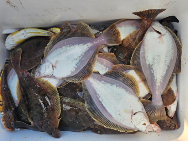
2025년 12월 29일
어구가자미 출조했습니다 
오늘은 조류가 빠르네요
채비운영 못하시는 분들
엉킴이 많이 있었습니다...
어군은 많은데
조사님들 잡아내질 못하네요...
힘든 출항 이었지만
그래도 다행이 많이 잡으신
조사님들은 20kg이상 하셨습니다
오늘도 공현진 피싱호를
찾아주신 조사님들 고생 많으셨습니다 

♡출조하실때
전동릴 라인 세팅
잘해가지고 오셔야 떠가는
어군을 만나도 잡아 내실수 있습니다
요즘 낚시 바늘은 모리겐이 좋습니다
미끼는 지렁이
오징어는 지금 가져오지 마세요~

#조황사진 

BandPhoto_2025_12_29_19_53_05_3.jpg


BandPhoto_2025_12_29_19_53_05_2.jpg


BandPhoto_2025_12_29_19_53_05_1.jpg


BandPhoto_2025_12_29_19_53_05_7.jpg


BandPhoto_2025_12_29_19_53_05_6.jpg


BandPhoto_2025_12_29_19_53_05_5.jpg


BandPhoto_2025_12_29_19_53_05_9.jpg


BandPhoto_2025_12_29_19_53_05_12.jpg


BandPhoto_2025_12_29_19_53_05_11.jpg


BandPhoto_2025_12_29_19_53_05_10.jpg


BandPhoto_2025_12_29_19_53_05_13.jpg


BandPhoto_2025_12_29_19_53_05_14.jpg


BandPhoto_2025_12_29_19_53_05_4.jpg


1766999586002.jpg


BandPhoto_2025_12_29_19_53_05_17.jpeg


BandPhoto_2025_12_29_19_53_05_18.jpeg


BandPhoto_2025_12_29_19_53_05_19.jpeg

 



*** 고성 공현진 피싱호 예약 안내 ***


예약문의 : 010-8909-6679

선장직통 : 010-9480-1877

오시는길 : 강원도 고성군 죽왕면 공현진길 30

홈페이지 : https://gonghyeonjinfishing.sunsang24.com/


모바일.gif


Top