조황관리HOME / 조황관리 / 상세정보

제목 : 12월28일 어구가자미 조황!!
등록일 : 2025-12-28
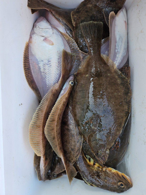
2025년 12월 28일
어구가자미 출조했습니다 
오늘은 어군이 토막 나서 다니네요
어군보고 채비 내리면 사라지네요 ~
용왕님이 딱 드실만큼만  주셨습니다
공현진피싱호
찾아주신 조사님 감사합니다^^

출조하실때 참고하세요

​모리겐 채비 반응이 훨씬 좋습니다♡

#조황정보

BandPhoto_2025_12_28_20_35_00_1.jpg


BandPhoto_2025_12_28_20_35_00_4.jpg


BandPhoto_2025_12_28_20_35_00_3.jpg


BandPhoto_2025_12_28_20_35_00_2.jpg


BandPhoto_2025_12_28_20_35_00_5.jpg


BandPhoto_2025_12_28_20_35_00_6.jpg


BandPhoto_2025_12_28_20_35_00_7.jpg


BandPhoto_2025_12_28_20_35_00_10.jpg


BandPhoto_2025_12_28_20_35_00_9.jpg


BandPhoto_2025_12_28_20_35_00_8.jpg


BandPhoto_2025_12_28_20_35_00_13.jpg


BandPhoto_2025_12_28_20_35_00_12.jpg
BandPhoto_2025_12_28_20_35_00_15.jpg


BandPhoto_2025_12_28_20_35_00_14.jpg


BandPhoto_2025_12_28_20_35_00_17.jpg


BandPhoto_2025_12_28_20_35_00_16.jpg


BandPhoto_2025_12_28_20_35_00_19.jpg


BandPhoto_2025_12_28_20_35_00_18.jpg




BandPhoto_2025_12_28_20_35_00_11.jpg

 



*** 고성 공현진 피싱호 예약 안내 ***


예약문의 : 010-8909-6679

선장직통 : 010-9480-1877

오시는길 : 강원도 고성군 죽왕면 공현진길 30

홈페이지 : https://gonghyeonjinfishing.sunsang24.com/


모바일.gif


Top