조황관리HOME / 조황관리 / 상세정보

제목 : 2025년12월27일 어구가자미 조황!!
등록일 : 2025-12-27
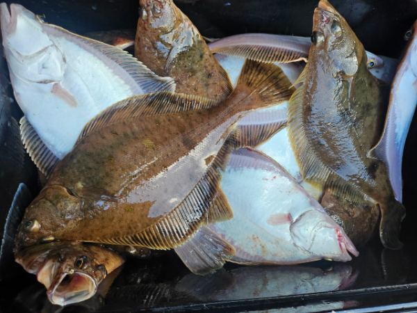
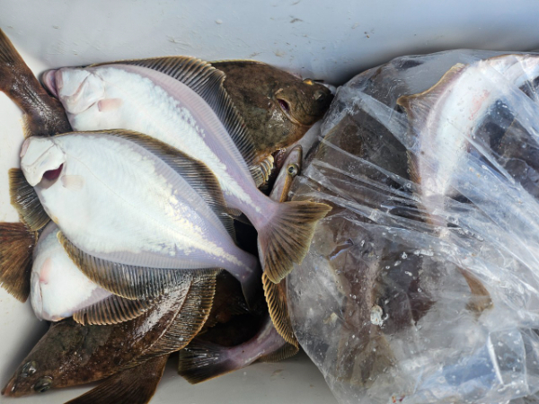
2025년 12월27일 어구가자미 출조했습니다 
본격적인 겨울 선상 낚시
어구가자미 시즌이 시작 되었습니다
공현진 피싱호는
대구 금어기 해제시 까지
어구가자미 출조합니다!!
오늘 어구가자미는
어군이 별로 좋지 않았지만
어군이 있을 때에는 줄도타고
드실만큼  잡으셨습니다 ~
평균10kg 많이 잡으신분이
20kg 잡으셨습니다 
오늘도 공현진 피싱호를
찾아주신 조사님들 감사합니다!!
 
#조황정보

BandPhoto_2025_12_27_19_33_02_1.jpg


BandPhoto_2025_12_27_19_33_02_3.jpg


BandPhoto_2025_12_27_19_33_02_2.jpg


BandPhoto_2025_12_27_19_33_02_7.jpg


BandPhoto_2025_12_27_19_33_02_6.jpg


BandPhoto_2025_12_27_19_33_02_7.jpg


BandPhoto_2025_12_27_19_33_02_5.jpg


BandPhoto_2025_12_27_19_33_02_4.jpg


BandPhoto_2025_12_27_19_33_02_9.jpg


BandPhoto_2025_12_27_19_33_02_8.jpg


BandPhoto_2025_12_27_19_33_02_12.jpg


BandPhoto_2025_12_27_19_33_02_11.jpg


BandPhoto_2025_12_27_19_33_02_10.jpg


BandPhoto_2025_12_27_19_33_02_13.jpg

 



*** 고성 공현진 피싱호 예약 안내 ***


예약문의 : 010-8909-6679

선장직통 : 010-9480-1877

오시는길 : 강원도 고성군 죽왕면 공현진길 30

홈페이지 : https://gonghyeonjinfishing.sunsang24.com/


모바일.gif


Top